1655 Pacific Hwy | San Diego, CA 92101
This feature is unavailable at the moment.
We apologize, but the feature you are trying to access is currently unavailable. We are aware of this issue and our team is working hard to resolve the matter.
Please check back in a few minutes. We apologize for the inconvenience.
- LoopNet Team
This Land Property is no longer advertised on LoopNet.co.uk.
1655 Pacific Hwy
San Diego, CA 92101
Generational Multifamily/Condo Redevelopment · Land For Sale
·
0.13 ac

INVESTMENT HIGHLIGHTS
- RARE Generational Multifamily/Condo Redevelopment Opportunity located in San Diego’s Bayfront Little Italy
- Ownership: Fee Simple
- 34 Key Hotel with approximately 11,084 square feet
PROPERTY FACTS
DESCRIPTION
The subject property, the Pacific Inn, sits directly across the street from the historic County Administration Building and the 12 acre Waterfront Park. A redeveloped project would offer unobstructed views of San Diego’s renown Bay and Downtown San Diego. Preliminary plans call for a 24-story, 234 unit luxury apartment tower.
PROPERTY TAXES
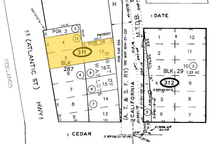
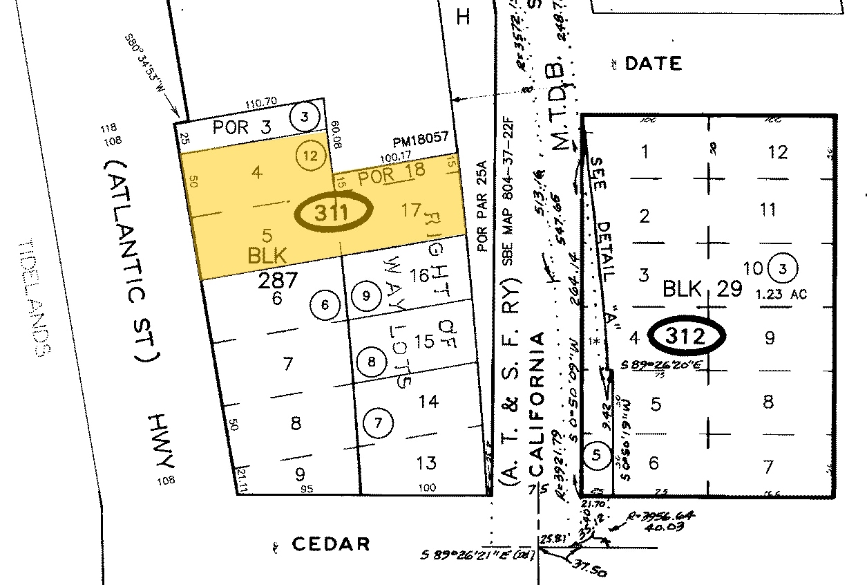
| Parcel Number | 533-311-12 | Improvements Assessment | £548,969 |
| Land Assessment | £1,824,934 | Total Assessment | £2,373,903 |
PROPERTY TAXES
Parcel Number
533-311-12
Land Assessment
£1,824,934
Improvements Assessment
£548,969
Total Assessment
£2,373,903
Listing ID: 32408005
Date on Market: 10/07/2024
Last Updated:
Address: 1655 Pacific Hwy, San Diego, CA 92101
1 of 1
VIDEOS
MATTERPORT 3D EXTERIOR
MATTERPORT 3D TOUR
PHOTOS
STREET VIEW
STREET
MAP

Link copied
Your LoopNet account has been created!
Thank you for your feedback.
Please Share Your Feedback
We welcome any feedback on how we can improve LoopNet to better serve your needs.X
{{ getErrorText(feedbackForm.starRating, "rating") }}
255 character limit ({{ remainingChars() }} charactercharacters remainingover)
{{ getErrorText(feedbackForm.msg, "rating") }}
{{ getErrorText(feedbackForm.fname, "first name") }}
{{ getErrorText(feedbackForm.lname, "last name") }}
{{ getErrorText(feedbackForm.phone, "phone number") }}
{{ getErrorText(feedbackForm.phonex, "phone extension") }}
{{ getErrorText(feedbackForm.email, "email address") }}
You can provide feedback any time using the Help button at the top of the page.