Log In/Sign up
Your email has been sent.
INVESTMENT HIGHLIGHTS
- 79th Street Frontage
- 11,800 VPD
- B1-1 Zoning
- Multiple PINs
- TIF District Location
EXECUTIVE SUMMARY
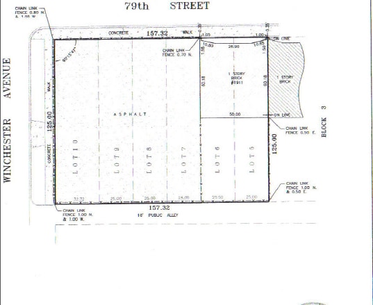
19,665 SF of land with frontage onto 79th Street in Chicago's Auburn Gresham neighborhood. This property is comprised of 6 PINs, carries a B1-1 zoning designation, and is located inside a TIF district. With a VPD count over 11,000 and a location between high-traffic S Damen Ave and S Ashland Ave, this land site boasts high visibility that could be parlayed into a successful location for a wide variety of business types.
PROPERTY FACTS
| Price | £112,205 | Property Subtype | Commercial |
| Sale Type | Investment | Total Plot Size | 0.45 ac |
| No. Plots | 1 | No. Floors | 1 |
| Property Type | Land | Opportunity Zone |
Yes
|
| Use Class | B1-1 | ||
| Price | £112,205 |
| Sale Type | Investment |
| No. Plots | 1 |
| Property Type | Land |
| Property Subtype | Commercial |
| Total Plot Size | 0.45 ac |
| No. Floors | 1 |
| Opportunity Zone |
Yes |
| Use Class | B1-1 |
1 PLOT AVAILABLE
Plot
| Price | £112,205 | Total Plot Size | 0.45 ac |
| Price Per ac | £248,544.68 |
| Price | £112,205 |
| Price Per ac | £248,544.68 |
| Total Plot Size | 0.45 ac |
79th Street Frontage Multiple PINs TIF District Location B1-1 Zoning
DESCRIPTION
18,000 SF of land with frontage onto 79th Street in Chicago's Auburn Gresham neighborhood and located inside of a TIF district
Walk Score®
Easily Walkable (74)
PROPERTY TAXES
| Parcel Numbers | Improvements Assessment | £0 | |
| Land Assessment | £13,239 | Total Assessment | £13,239 |
PROPERTY TAXES
Parcel Numbers
Land Assessment
£13,239
Improvements Assessment
£0
Total Assessment
£13,239
1 of 4
VIDEOS
MATTERPORT 3D EXTERIOR
MATTERPORT 3D TOUR
PHOTOS
STREET VIEW
STREET
MAP
Presented by
1911-1925 W 79th St
Already a member? Log In
Hmm, there seems to have been an error sending your message. Please try again.
Thanks! Your message was sent.




