Log In/Sign up
Your email has been sent.
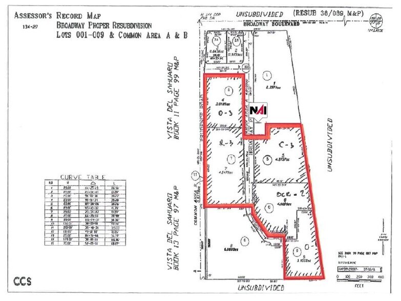
SEC Broadway Blvd & Prudence Rd - Raw Land Development/Investment Opportunity 18.94 Acres of Commercial Land Offered at £2,941,999 in Tucson, AZ 85710



INVESTMENT HIGHLIGHTS
- Site is divided by S Broadway Place (7.56 Acres on the west and 11.38 Acres on the east side)
- Site is located on the Broadway South Landfill
- Consent Decree Obtained
- Adjacent to Culver's Restaurant & Hilton Tucson East Hotel
- Geotech Report Completed 2022
- Environmental Reports Completed
EXECUTIVE SUMMARY
Raw Land Development Opportunity | Office, Commercial, Self-Storage
PROPERTY FACTS
| Price | £2,941,999 | Property Subtype | Commercial |
| Sale Type | Investment | Proposed Use | |
| No. Plots | 1 | Total Plot Size | 18.94 ac |
| Property Type | Land | ||
| Use Class | O-3, R-3, C-3 - O-3, R-3, C-3 | ||
| Price | £2,941,999 |
| Sale Type | Investment |
| No. Plots | 1 |
| Property Type | Land |
| Property Subtype | Commercial |
| Proposed Use | |
| Total Plot Size | 18.94 ac |
| Use Class | O-3, R-3, C-3 - O-3, R-3, C-3 |
1 PLOT AVAILABLE
Plot
| Price | £2,941,999 | Total Plot Size | 18.94 ac |
| Price Per ac | £155,332.60 |
| Price | £2,941,999 |
| Price Per ac | £155,332.60 |
| Total Plot Size | 18.94 ac |
Bike Score®
Good for cycling (82)
PROPERTY TAXES
| Parcel Numbers | Improvements Assessment | £0 | |
| Land Assessment | £0 | Total Assessment | £9,451 |
PROPERTY TAXES
Parcel Numbers
Land Assessment
£0
Improvements Assessment
£0
Total Assessment
£9,451
1 of 4
VIDEOS
MATTERPORT 3D EXTERIOR
MATTERPORT 3D TOUR
PHOTOS
STREET VIEW
STREET
MAP
Presented by
SEC Broadway Blvd & Prudence Rd - Raw Land Development/Investment Opportunity
Already a member? Log In
Hmm, there seems to have been an error sending your message. Please try again.
Thanks! Your message was sent.

